L’uragano Laura continua a crescere e travolge la Louisiana
Più di mezzo milione di persone hanno dovuto lasciare le loro abitazioni a causa dell'uragano

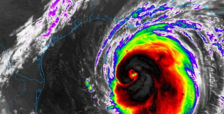
L’uragano Laura, che è ora una tempesta di quarto grado, sta provocando raffiche di vento fortissime e ha fatto danni in Louisiana, mentre si dirige verso il Texas. Il Centro nazionale degli uragani ha avvisato che mareggiate molto alte (oltre i 4 metri), potrebbero essere fatali e travolgere alcune zone della costa del golfo degli Stati Uniti. Più di mezzo milione di persone hanno lasciato le loro abitazioni per scampare alla forza brutale della tempesta.
Secondo alcune testimonianze di reporters e residenti in alcune zone della Louisiana, il vento è così forte che è impossibile stare in piedi mentre la quantità di pioggia è impressionante e non sembra diminuire, anzi, mentre l’uragano Laura prende forza, la zona potrebbe essere ancora più colpita nelle prossime ore.
LEGGI ANCHE>Ecco un modo efficace per spiegare la potenza dell’uragano Florence | VIDEO
Just before midnight in Sulphur #Louisiana. Starting to rip. #Hurricane #LAURA pic.twitter.com/vi9b0hCdXX
— Josh Morgerman (@iCyclone) August 27, 2020
I movimenti dell’uragano Laura
Secondo le autorità della Louisiana, bisognerà aspettare almeno fino a domani per capire i danni causati da Laura. dopo essere passato a 30 miglia da Charles una cittadina nello stato del sud, l’uragano si sta spostando verso il Texas, ed è a circa 40 miglia da Port Arthur.
UPDATE: Conditions deteriorating rapidly in Lake Charles with winds gusting over 70 mph. DEPLOYED infrasound sensor of @ChasinSpin to measure the heartbeat of #HurricaneLaura pic.twitter.com/6DnxJqa86B
— Reed Timmer, PhD (@ReedTimmerUSA) August 27, 2020
Diversi utenti hanno postato su Twitter e altri social dei video che mostrano la potenza devastante dell’uragano Laura.
https://twitter.com/WxBrenn/status/1298867018947530752